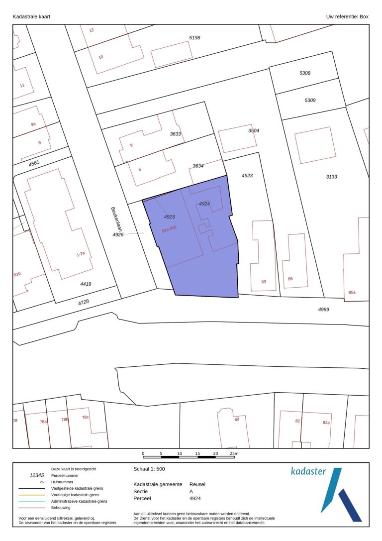
Wilhelminalaan 81g
Omschrijving
Ben je op zoek naar een keurig, instapklaar appartement met twee slaapkamers, een royaal dakterras én een lift? Dan is het appartement aan de Wilhelminalaan 81g in Reusel precies wat je zoekt. Dit verzorgde 3-kamer appartement met een gebruiksoppervlakte van 62 m² is gelegen op de eerste verdieping van een kleinschalig appartementencomplex en biedt je comfortabel en gelijkvloers wonen op een fijne locatie nabij het centrum. Daarnaast beschikt het appartement over een compleet isolatiepakket, wat zorgt voor een aangenaam wooncomfort en een energiezuinig geheel. Dankzij de lift is het appartement niet alleen ideaal voor starters, maar ook zeer geschikt als je wat minder goed ter been bent of toekomstbestendig wilt wonen.
Indeling:
Begane grond:
Je komt het complex binnen via de centrale entree met videofooninstallatie, bellentableau en brievenbussen. Hier bevinden zich ook het trappenhuis, de liftinstallatie en jouw privé berging op de begane grond. Rondom het complex is volop parkeergelegenheid aanwezig, deels op het terrein van de VvE.
1e verdieping:
Via de galerij op de eerste verdieping bereik je de voordeur van het appartement.
Indeling appartement:
In de hal valt direct de nette afwerking op, met een laminaatvloer, een praktische garderobenis en een moderne meterkast. Vanuit de hal heb je toegang tot de gedeeltelijk betegelde toiletruimte met wandcloset en fonteintje en tot de c.v.-ruimte met opstelling van de c.v.-installatie en de mechanische ventilatie-unit.
De gezellige L-vormige woonkamer is heerlijk licht dankzij de grote raampartijen en biedt je een prettige leefruimte met vrij uitzicht aan de voorzijde. De ruimte is afgewerkt met een laminaatvloer, gestucte wanden en een stucwerkplafond, waardoor je hier direct kunt intrekken zonder te klussen.
De open keuken sluit naadloos aan op de woonkamer en is uitgevoerd in een nette wandopstelling met gaskookplaat, afzuigkap, vaatwasser, koel-/vriescombinatie en magnetron.
De volledig betegelde badkamer is compleet ingericht met een douchecabine, wastafelmeubel en een aansluiting voor je wasmachine.
Het appartement beschikt over twee slaapkamers. De hoofdslaapkamer is netjes afgewerkt met een laminaatvloer, stucwerk- en behangwanden en een stucwerkplafond. De tweede slaapkamer wordt momenteel gebruikt als eetkamer en is voorzien van een laminaatvloer, gestucte wanden en -plafond en een praktische 3-deurs kastenwand. Vanuit deze kamer stap je zo het royale dakterras van maar liefst 14 m² op, waar je in alle rust kunt genieten van het buitenleven.
Algemeen:
– bouwjaar 2008.
– inhoud 212 m³.
– gebruiksoppervlakte wonen 62 m².
– gebouwgebonden buitenruimte 14 m².
– externe bergruimte 6 m².
– het appartementencomplex heeft een compleet isolatiepakket.
– hardhouten kozijnen met HR++ isolerende beglazing.
– verwarming en warmwatervoorziening middels een Remeha c.v. combi-ketel (bouwjaar 2023).
– verdiepingsvloeren in het appartementencomplex uitgevoerd in beton.
– de servicekosten bedragen € 149,89 per maand.
– het betreft hier een financieel gezonde Vereniging van Eigenaars.
– de ligging is uitstekend met een vrij uitzicht aan de voorzijde en alle centrumvoorzieningen van Reusel op korte afstand, waardoor je winkels, horeca en andere faciliteiten eenvoudig te voet of met de fiets bereikt.
Kortom: hier woon je comfortabel, instapklaar en centraal in een modern appartement met lift, twee slaapkamers en een heerlijk dakterras, waar je zó je meubels kunt neerzetten en direct kunt genieten.
Kenmerken
Overdracht
- Woonoppervlakte: 62 m2
- Inhoud: 212 m3
- Status: Verkocht
- Energielabel: B
Bouw
- Ligging: In centrum, , ,
- Kamers: 3
- Slaapkamers: 2 kamers
- Type: Appartement
- Type dak: Samengesteld dak
Omschrijving
Ben je op zoek naar een keurig, instapklaar appartement met twee slaapkamers, een royaal dakterras én een lift? Dan is het appartement aan de Wilhelminalaan 81g in Reusel precies wat je zoekt. Dit verzorgde 3-kamer appartement met een gebruiksoppervlakte van 62 m² is gelegen op de eerste verdieping van een kleinschalig appartementencomplex en biedt je comfortabel en gelijkvloers wonen op een fijne locatie nabij het centrum. Daarnaast beschikt het appartement over een compleet isolatiepakket, wat zorgt voor een aangenaam wooncomfort en een energiezuinig geheel. Dankzij de lift is het appartement niet alleen ideaal voor starters, maar ook zeer geschikt als je wat minder goed ter been bent of toekomstbestendig wilt wonen.
Indeling:
Begane grond:
Je komt het complex binnen via de centrale entree met videofooninstallatie, bellentableau en brievenbussen. Hier bevinden zich ook het trappenhuis, de liftinstallatie en jouw privé berging op de begane grond. Rondom het complex is volop parkeergelegenheid aanwezig, deels op het terrein van de VvE.
1e verdieping:
Via de galerij op de eerste verdieping bereik je de voordeur van het appartement.
Indeling appartement:
In de hal valt direct de nette afwerking op, met een laminaatvloer, een praktische garderobenis en een moderne meterkast. Vanuit de hal heb je toegang tot de gedeeltelijk betegelde toiletruimte met wandcloset en fonteintje en tot de c.v.-ruimte met opstelling van de c.v.-installatie en de mechanische ventilatie-unit.
De gezellige L-vormige woonkamer is heerlijk licht dankzij de grote raampartijen en biedt je een prettige leefruimte met vrij uitzicht aan de voorzijde. De ruimte is afgewerkt met een laminaatvloer, gestucte wanden en een stucwerkplafond, waardoor je hier direct kunt intrekken zonder te klussen.
De open keuken sluit naadloos aan op de woonkamer en is uitgevoerd in een nette wandopstelling met gaskookplaat, afzuigkap, vaatwasser, koel-/vriescombinatie en magnetron.
De volledig betegelde badkamer is compleet ingericht met een douchecabine, wastafelmeubel en een aansluiting voor je wasmachine.
Het appartement beschikt over twee slaapkamers. De hoofdslaapkamer is netjes afgewerkt met een laminaatvloer, stucwerk- en behangwanden en een stucwerkplafond. De tweede slaapkamer wordt momenteel gebruikt als eetkamer en is voorzien van een laminaatvloer, gestucte wanden en -plafond en een praktische 3-deurs kastenwand. Vanuit deze kamer stap je zo het royale dakterras van maar liefst 14 m² op, waar je in alle rust kunt genieten van het buitenleven.
Algemeen:
– bouwjaar 2008.
– inhoud 212 m³.
– gebruiksoppervlakte wonen 62 m².
– gebouwgebonden buitenruimte 14 m².
– externe bergruimte 6 m².
– het appartementencomplex heeft een compleet isolatiepakket.
– hardhouten kozijnen met HR++ isolerende beglazing.
– verwarming en warmwatervoorziening middels een Remeha c.v. combi-ketel (bouwjaar 2023).
– verdiepingsvloeren in het appartementencomplex uitgevoerd in beton.
– de servicekosten bedragen € 149,89 per maand.
– het betreft hier een financieel gezonde Vereniging van Eigenaars.
– de ligging is uitstekend met een vrij uitzicht aan de voorzijde en alle centrumvoorzieningen van Reusel op korte afstand, waardoor je winkels, horeca en andere faciliteiten eenvoudig te voet of met de fiets bereikt.
Kortom: hier woon je comfortabel, instapklaar en centraal in een modern appartement met lift, twee slaapkamers en een heerlijk dakterras, waar je zó je meubels kunt neerzetten en direct kunt genieten.