Vragen of afspraak maken?

Stuur ons een bericht op Whatsapp

Bekijk onze bedrijfsvideo Volg ons (5900)
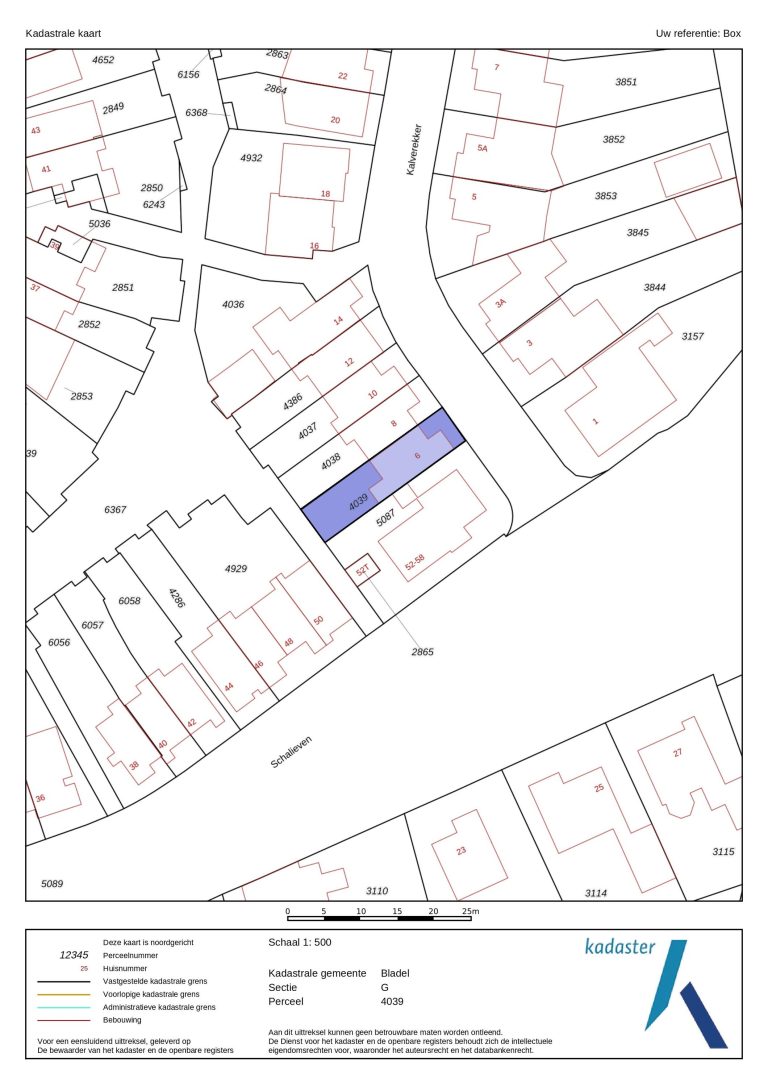
Bladel

Kalverekker 6

Omschrijving

Fraai gemoderniseerde eindwoning (2025) met luxe afwerking, zonnige achtertuin en royale zolder.

Welkom bij deze werkelijk instapklare, op hoogwaardige wijze gemoderniseerde eindwoning aan de Kalverekker 6 in Bladel! Deze verrassend ruime woning heeft in 2025 een complete metamorfose ondergaan en is voorzien van luxe sanitair, een prachtige landelijke keuken, nieuwe vloeren en een royale zolderverdieping met volop mogelijkheden.

De woning ligt in een kindvriendelijke, gewilde woonomgeving, op korte afstand van een groot park met speelveld – ideaal voor gezinnen of iedereen die van groen en rust houdt. De privacy biedende achtertuin op het zonnige zuid-westen maakt het plaatje compleet.

Begane grond – stijlvolle leefruimtes met karakter en comfort

Bij binnenkomst word je verwelkomd in de nette hal met moderne PVC-vloer, vernieuwde meterkast en een luxe toiletruimte met wandcloset en fonteintje. Vanuit de hal bereik je zowel de woonkamer als de trapopgang naar boven.

De sfeervolle woonkamer is een heerlijke plek om te vertoeven. De PVC-vloer, strak stucwerk, inbouwspots en de gezellige houtkachel zorgen voor een warme, uitnodigende uitstraling. Dankzij de openslaande tuindeuren staat de living bovendien in directe verbinding met de tuin, waardoor binnen en buiten mooi in elkaar overlopen. De praktische trapkast biedt extra opbergruimte.

Aan de voorzijde bevindt zich de open keuken, eveneens met PVC-vloer. Deze luxe, landelijke keuken in hoekopstelling is volledig vernieuwd en uitgerust met onder meer een inductiekookplaat, grote oven, afzuigkap, koelkast, vriezer, vaatwasser en close-in boiler – ideaal voor de kookliefhebber.

Aan de achterzijde is een handige bijkeuken gecreëerd, eveneens met PVC-vloer. Hier vind je extra kastruimte, het werkblad en de wasmachine-aansluiting, plus toegang tot de achtertuin. Een bijzonder praktische toevoeging!

Eerste verdieping – luxe badkamer en drie ruime slaapkamers

De overloop – met vloerbedekking en vaste trap naar de zolder – biedt toegang tot drie fraaie slaapkamers en de prachtige badkamer.

De luxe badkamer is grotendeels betegeld en compleet uitgerust met een ligbad, inloopdouche, wandcloset, stijlvol badmeubel met waskom, spiegelkast en een Velux dakvenster voor natuurlijk licht. Een heerlijke plek om na een lange dag tot rust te komen.

Alle drie de ruime slaapkamers zijn netjes afgewerkt met een laminaatvloer, stucwerkwanden en stucwerkplafond. Je hoeft echt alleen nog maar je meubels neer te zetten.

Tweede verdieping – royale zolder met mogelijkheden

Via de vaste trap bereik je de royale, volledig vernieuwde zolderverdieping met PVC-vloer, groot Velux dakvenster en de opstelling van de cv-installatie. Deze grote open ruimte biedt fantastische mogelijkheden: creëer hier eenvoudig een vierde slaapkamer, werkkamer, hobbyruimte of studio.

Dit is een verdieping die je moet zien om de ruimte écht te ervaren!

Buiten – zonnig genieten in privacy

De woning beschikt over een nette, onderhoudsvriendelijke voortuin met sierbestrating en beplanting.

De achtertuin, gelegen op het zonnige zuid-westen, is een heerlijke plek om te ontspannen. Hier vind je sierbestrating, diverse beplanting, een vijverpartij, een royale gemetselde berging én een achterom met poort. Dankzij de ligging en het ontbreken van directe inkijk geniet je hier volop van rust en privacy.

Algemeen:
– bouwjaar 1982.
– perceeloppervlakte 132 m².
– inhoud 352 m³.
– gebruiksoppervlakte 86 m².
– overige inpandige ruimte 14 m².
– externe bergruimte 8 m².
– de woning is voorzien van dak-, spouwmuur- en vloerisolatie.
– de woning is voorzien van houten kozijnen, grotendeels met HR++ beglazing en deels isolerende beglazing.
– verwarming en warmwatervoorziening middels een Remeha c.v. combi-ketel (bouwjaar 2022).
– de vermelde gebruiksoppervlakte is exclusief de 2e verdieping. Door het plaatsen van een groter dakraam wordt gebruiksoppervlakte vergroot van 86 naar 100 m².
– alle verdiepingsvloeren zijn uitgevoerd in beton.
– In 2025 is de woning op grondige en stijlvolle wijze gemoderniseerd. Daarbij zijn vrijwel alle vloeren vervangen en is de gehele woning voorzien van een nieuwe, luxe keuken, een modern toilet en een complete badkamer. Ook het binnenschilderwerk en de trapbekleding zijn vernieuwd, net als diverse binnendeuren op de begane grond. Verder is het stucwerk gedeeltelijk vervangen, de bijkeuken helemaal gemoderniseerd en heeft ook de zolder een frisse, eigentijdse update gekregen. Dankzij deze uitgebreide renovaties voelt de woning als nieuw en is deze volledig instapklaar.
– prima ligging in een gewilde woonomgeving met voldoende openbare parkeergelegenheid en een grote openbare speelvoorziening (Doollandveld) in de directe nabijheid.

Kortom:
Kalverekker 6 is een unieke kans voor iedereen die zoekt naar een modern afgewerkte, ruime en sfeervolle eindwoning op een perfecte locatie in Bladel. Dankzij de luxe afwerking, uitgebouwde leefruimte, royale zolder en zonnige tuin is dit een woning waar je jarenlang met plezier zult wonen.

Plan snel een bezichtiging – je zult versteld staan van de ruimte en kwaliteit die deze woning te bieden heeft!

Kenmerken

  • Woonoppervlakte: 86 m2
  • Perceeloppervlakte: 132 m2
  • Slaapkamers: 4 kamers
  • Bouwjaar: 1982

Kenmerken

Overdracht

  • Woonoppervlakte: 86 m2
  • Perceeloppervlakte: 132 m2
  • Inhoud: 352 m3
  • Status: Verkocht
  • Energielabel: C

Bouw

  • Ligging: Aan rustige weg, In woonwijk, ,
  • Kamers: 5
  • Slaapkamers: 4 kamers
  • Soort woning: Eengezinswoning
  • Type: Eindwoning
  • Type dak: Zadeldak

Omschrijving

Fraai gemoderniseerde eindwoning (2025) met luxe afwerking, zonnige achtertuin en royale zolder.

Welkom bij deze werkelijk instapklare, op hoogwaardige wijze gemoderniseerde eindwoning aan de Kalverekker 6 in Bladel! Deze verrassend ruime woning heeft in 2025 een complete metamorfose ondergaan en is voorzien van luxe sanitair, een prachtige landelijke keuken, nieuwe vloeren en een royale zolderverdieping met volop mogelijkheden.

De woning ligt in een kindvriendelijke, gewilde woonomgeving, op korte afstand van een groot park met speelveld – ideaal voor gezinnen of iedereen die van groen en rust houdt. De privacy biedende achtertuin op het zonnige zuid-westen maakt het plaatje compleet.

Begane grond – stijlvolle leefruimtes met karakter en comfort

Bij binnenkomst word je verwelkomd in de nette hal met moderne PVC-vloer, vernieuwde meterkast en een luxe toiletruimte met wandcloset en fonteintje. Vanuit de hal bereik je zowel de woonkamer als de trapopgang naar boven.

De sfeervolle woonkamer is een heerlijke plek om te vertoeven. De PVC-vloer, strak stucwerk, inbouwspots en de gezellige houtkachel zorgen voor een warme, uitnodigende uitstraling. Dankzij de openslaande tuindeuren staat de living bovendien in directe verbinding met de tuin, waardoor binnen en buiten mooi in elkaar overlopen. De praktische trapkast biedt extra opbergruimte.

Aan de voorzijde bevindt zich de open keuken, eveneens met PVC-vloer. Deze luxe, landelijke keuken in hoekopstelling is volledig vernieuwd en uitgerust met onder meer een inductiekookplaat, grote oven, afzuigkap, koelkast, vriezer, vaatwasser en close-in boiler – ideaal voor de kookliefhebber.

Aan de achterzijde is een handige bijkeuken gecreëerd, eveneens met PVC-vloer. Hier vind je extra kastruimte, het werkblad en de wasmachine-aansluiting, plus toegang tot de achtertuin. Een bijzonder praktische toevoeging!

Eerste verdieping – luxe badkamer en drie ruime slaapkamers

De overloop – met vloerbedekking en vaste trap naar de zolder – biedt toegang tot drie fraaie slaapkamers en de prachtige badkamer.

De luxe badkamer is grotendeels betegeld en compleet uitgerust met een ligbad, inloopdouche, wandcloset, stijlvol badmeubel met waskom, spiegelkast en een Velux dakvenster voor natuurlijk licht. Een heerlijke plek om na een lange dag tot rust te komen.

Alle drie de ruime slaapkamers zijn netjes afgewerkt met een laminaatvloer, stucwerkwanden en stucwerkplafond. Je hoeft echt alleen nog maar je meubels neer te zetten.

Tweede verdieping – royale zolder met mogelijkheden

Via de vaste trap bereik je de royale, volledig vernieuwde zolderverdieping met PVC-vloer, groot Velux dakvenster en de opstelling van de cv-installatie. Deze grote open ruimte biedt fantastische mogelijkheden: creëer hier eenvoudig een vierde slaapkamer, werkkamer, hobbyruimte of studio.

Dit is een verdieping die je moet zien om de ruimte écht te ervaren!

Buiten – zonnig genieten in privacy

De woning beschikt over een nette, onderhoudsvriendelijke voortuin met sierbestrating en beplanting.

De achtertuin, gelegen op het zonnige zuid-westen, is een heerlijke plek om te ontspannen. Hier vind je sierbestrating, diverse beplanting, een vijverpartij, een royale gemetselde berging én een achterom met poort. Dankzij de ligging en het ontbreken van directe inkijk geniet je hier volop van rust en privacy.

Algemeen:
– bouwjaar 1982.
– perceeloppervlakte 132 m².
– inhoud 352 m³.
– gebruiksoppervlakte 86 m².
– overige inpandige ruimte 14 m².
– externe bergruimte 8 m².
– de woning is voorzien van dak-, spouwmuur- en vloerisolatie.
– de woning is voorzien van houten kozijnen, grotendeels met HR++ beglazing en deels isolerende beglazing.
– verwarming en warmwatervoorziening middels een Remeha c.v. combi-ketel (bouwjaar 2022).
– de vermelde gebruiksoppervlakte is exclusief de 2e verdieping. Door het plaatsen van een groter dakraam wordt gebruiksoppervlakte vergroot van 86 naar 100 m².
– alle verdiepingsvloeren zijn uitgevoerd in beton.
– In 2025 is de woning op grondige en stijlvolle wijze gemoderniseerd. Daarbij zijn vrijwel alle vloeren vervangen en is de gehele woning voorzien van een nieuwe, luxe keuken, een modern toilet en een complete badkamer. Ook het binnenschilderwerk en de trapbekleding zijn vernieuwd, net als diverse binnendeuren op de begane grond. Verder is het stucwerk gedeeltelijk vervangen, de bijkeuken helemaal gemoderniseerd en heeft ook de zolder een frisse, eigentijdse update gekregen. Dankzij deze uitgebreide renovaties voelt de woning als nieuw en is deze volledig instapklaar.
– prima ligging in een gewilde woonomgeving met voldoende openbare parkeergelegenheid en een grote openbare speelvoorziening (Doollandveld) in de directe nabijheid.

Kortom:
Kalverekker 6 is een unieke kans voor iedereen die zoekt naar een modern afgewerkte, ruime en sfeervolle eindwoning op een perfecte locatie in Bladel. Dankzij de luxe afwerking, uitgebouwde leefruimte, royale zolder en zonnige tuin is dit een woning waar je jarenlang met plezier zult wonen.

Plan snel een bezichtiging – je zult versteld staan van de ruimte en kwaliteit die deze woning te bieden heeft!

Contact

Neem contact met ons op

0497 36 91 93 info@boxmakelaardij.nl

"*" geeft vereiste velden aan

Dit veld is bedoeld voor validatiedoeleinden en moet niet worden gewijzigd.
    • *
      *
      *
    • *