Vragen of afspraak maken?

Stuur ons een bericht op Whatsapp

Bekijk onze bedrijfsvideo Volg ons (5900)
Hapert

Molenvelden 17

€ 559.000 k.k.

Omschrijving

Welkom aan de Molenvelden 17 in Hapert – een plek waar je iedere dag wakker wordt met een gevoel van vrijheid, ruimte en comfort. Hier woon je op een werkelijk unieke locatie: aan de rand van een geliefde, kindvriendelijke woonwijk met een speelveldje direct voor de deur én het uitgestrekte landelijke gebied letterlijk naast je. Terwijl de kinderen veilig buiten spelen, geniet jij van een fenomenaal uitzicht over de landerijen, zowel vanuit de woning als vanuit de tuin. Wat deze woning extra bijzonder maakt, is dat je hier niet alleen profiteert van de ligging, maar ook van het hoge afwerkingsniveau en de royale leefruimte. Denk aan een uitgebouwde woonkamer, een fraaie tuinkamer, vier volwaardige slaapkamers, een zonnige tuin op het zuidwesten, een dubbele oprit én een energiezuinig karakter met energielabel A+. Dit is wonen op een niveau dat je zelden tegenkomt.

Indeling:

Begane grond:

Je stapt binnen in een verzorgde hal die meteen de toon zet voor de rest van de woning. De strakke tegelvloer, de uitgebreide meterkast en de moderne toiletruimte met wandcloset en fonteintje zorgen voor een stijlvolle en praktische entree. Alles is hier tot in de puntjes afgewerkt en dat voel je direct.

Wanneer je doorloopt, kom je in de leefruimte waar licht, ruimte en luxe samenkomen. Aan de voorzijde van de woning vind je de open keuken, een heerlijke plek waar koken en leven moeiteloos in elkaar overlopen. Terwijl je hier bezig bent, kijk je uit over het speelveldje en zie je het leven buiten aan je voorbijgaan. De moderne keukenopstelling is niet alleen strak vormgegeven, maar ook bijzonder compleet uitgerust met hoogwaardige inbouwapparatuur zoals een inductiekookplaat, afzuigkap, koelkast, vaatwasser, combi-oven en stoomoven. Het extra diepe werkblad geeft je alle ruimte om uitgebreid te koken en te genieten.

De uitgebouwde woonkamer is zonder twijfel het kloppend hart van de woning. Wat hier direct opvalt, is de enorme hoeveelheid licht en de ruimtelijke beleving. Dankzij de uitbouw en de grote raampartijen voelt deze ruimte heerlijk open en uitnodigend aan. De hoogwaardige afwerking met een fraaie tegelvloer en strak gestucte wanden zorgt voor een moderne en warme uitstraling. Vanuit de zijgevel heb je een prachtig vrij uitzicht over het aangrenzende landschap – een uitzicht dat nooit verveelt en elk seizoen weer iets nieuws brengt.

Aansluitend vind je de aangebouwde tuinkamer, een absolute meerwaarde voor deze woning. Dit is zo’n ruimte waar je direct mogelijkheden ziet. Of je nu droomt van een tweede woonkamer, een speelparadijs voor de kinderen of een rustige thuiswerkplek met inspirerend uitzicht – hier kan het allemaal. De lichtstraat zorgt voor een prachtige lichtinval en met de glazen schuifwanden betrek je de tuin op een natuurlijke manier bij je leefruimte. Zodra de zon schijnt, schuif je alles open en loopt binnen naadloos over in buiten.

Eerste verdieping:

Op de eerste verdieping kom je op een nette overloop die toegang geeft tot drie comfortabele slaapkamers en de badkamer. De afwerking is ook hier weer verzorgd en eigentijds, met een fijne laminaatvloer en lichte wanden die zorgen voor een rustige basis.

De slaapkamers zijn stuk voor stuk ruim, licht en praktisch in te delen. Dankzij de Velux dakramen en zijgevelramen geniet je van een prettige lichtinval en een aangename sfeer in elke kamer. Of je nu extra slaapkamers nodig hebt, een werkkamer wilt inrichten of een hobbyruimte zoekt, hier heb je alle mogelijkheden.

De badkamer is modern, compleet en ontworpen met oog voor comfort. Hier begin en eindig je je dag in stijl, met een ruime inloopdouche, een ligbad om heerlijk te ontspannen, een fraai wastafelmeubel met voldoende bergruimte, spiegel met inbouwverlichting en natuurlijk een 2e toilet. De combinatie van strak tegelwerk, modern sanitair en natuurlijk licht via het dakraam maakt dit een bijzonder fijne ruimte.

Tweede verdieping:

Via een vaste trap bereik je de tweede verdieping, waar je wordt verrast door de ruimte en veelzijdigheid. Deze zolderverdieping is ingericht als een volwaardige extra kamer en leent zich perfect als vierde slaapkamer, thuiskantoor of hobbyruimte. Dankzij het dakraam en het zijraam is ook deze verdieping heerlijk licht en aangenaam om te verblijven.

Daarnaast beschik je hier over een aparte technische ruimte, waar alles netjes is weggewerkt. Met aansluitingen voor wasapparatuur, de cv-installatie, mechanische ventilatie en de omvormers van de zonnepanelen is ook dit deel van de woning praktisch en toekomstbestendig ingericht. De bergruimte onder de schuine kap maakt het geheel compleet.

Buitenruimte:

Ook buiten is het genieten op hoog niveau. De voortuin is verzorgd aangelegd en beschikt over een dubbele oprit, waardoor je altijd plek hebt voor twee auto’s naast elkaar op eigen terrein. Dat is niet alleen praktisch, maar ook comfortabel in het dagelijks gebruik.

De achtertuin is een waar verlengstuk van de woning en ligt perfect op het zonnige zuidwesten. Hier geniet je van lange zomerdagen, volop privacy en een werkelijk schitterend uitzicht over de naastgelegen landerijen. De tuin is met zorg aangelegd en biedt een fijne mix van gebakken klinkerbestrating, gazon en sfeervolle beplanting. Achterin vind je een ruime, geïsoleerde berging die ideaal is voor opslag, hobby’s of bijvoorbeeld het stallen van fietsen, motoren of tuingereedschap. De achterom met poort biedt toegang tot de dubbele oprit aan de voorzijde. Wat deze tuin écht bijzonder maakt, is het vrije gevoel dat je hier ervaart. Geen directe achterburen, maar een weids uitzicht dat elke dag opnieuw indruk maakt.

Algemeen:
– bouwjaar 2017.
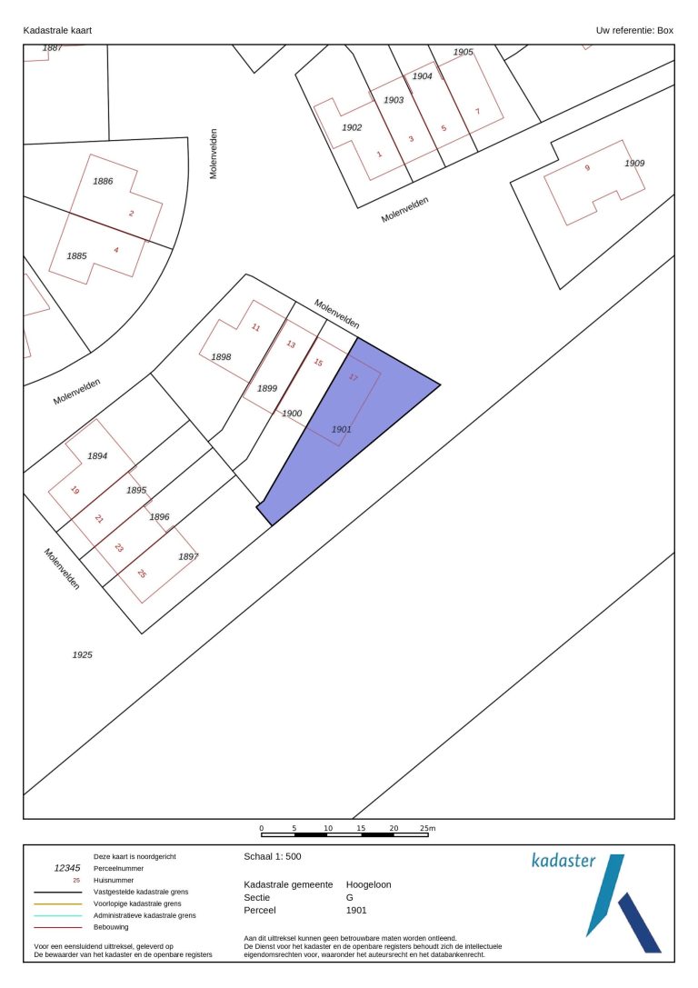
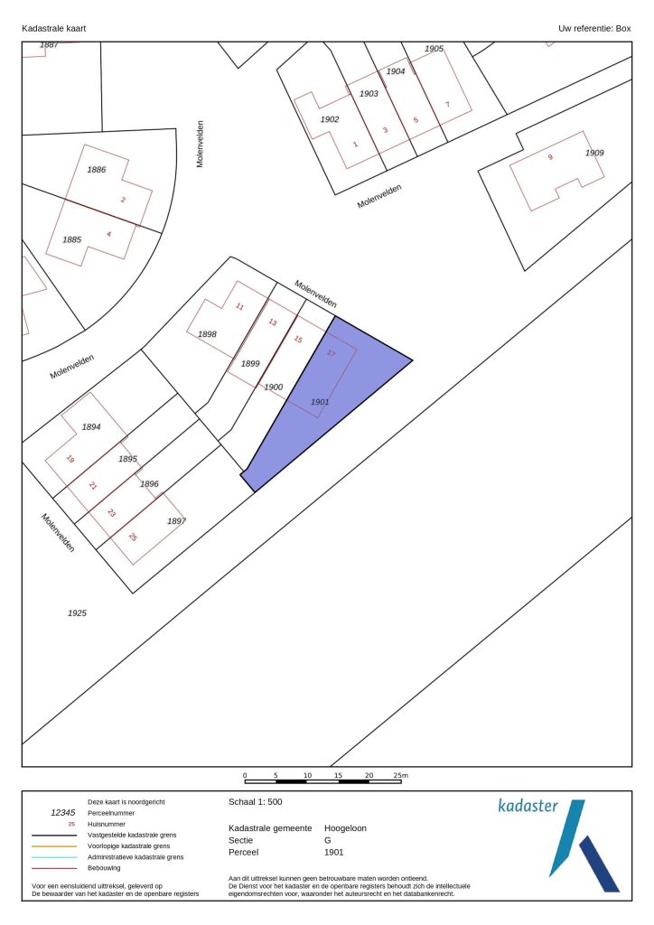
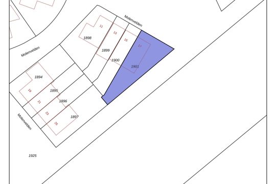
– perceeloppervlakte 267 m².
– inhoud
– gebruiksoppervlakte wonen
– externe bergruimte
– de woning is voorzien van optimale dak-, spouwmuur- en vloerisolatie.
– de woning is voorzien van hardhouten kozijnen met HR++ isolerende beglazing.
– verwarming en warmwatervoorziening middels een Intergas HRE c.v. combi-ketel (bouwjaar 2017).
– de begane grond is voorzien van vloerverwarming, met uitzondering van de tuinkamer.
– de woning is voorzien van 11 zonnepanelen.
– de uitbouw en berging zijn in 2017 gerealiseerd en de tuinkamer in 2019.
– alle verdiepingsvloeren zijn uitgevoerd in beton.
– prachtige ligging in een zeer gewilde, jonge en unieke woonomgeving met diverse speelveldje en voldoende openbare parkeergelegenheid in de directe omgeving. Het Hapertse dorpscentrum is op korte afstand gelegen en op loopstand ligt het fantastische 7.000 m² grote natuurgebied “De Nieuwe Wildernis” waar je heerlijk kunt wandelen, fietsen en relaxen. Het dorp Hapert is zeer gunstig gelegen in regio “De Kempen” met een directe aansluiting op Provincialeweg N284 en autosnelweg A67, waardoor onder andere ASML, Maxima Medisch Centrum, High Tech Campus en Eindhoven Airport allen uitstekend bereikbaar zijn.

Kortom: dit is niet zomaar een woning, maar een plek waar alles samenkomt: een unieke ligging aan de rand van het groen, een instapklare en hoogwaardig afgewerkte woning, verrassend veel leefruimte met onder andere een prachtige tuinkamer en vier volwaardige slaapkamers, én een zonnige tuin met ongekend vrij uitzicht, waardoor je hier elke dag opnieuw het ultieme gevoel van thuis ervaart.

Kenmerken

  • Woonoppervlakte: 120 m2
  • Perceeloppervlakte: 267 m2
  • Slaapkamers: 4 kamers
  • Bouwjaar: 2017

Plattegrond (9)

Kenmerken

Overdracht

  • Vraagprijs: € 559.000 k.k.
  • Woonoppervlakte: 120 m2
  • Perceeloppervlakte: 267 m2
  • Inhoud: 552 m3
  • Status: Te koop
  • Energielabel: A+

Bouw

  • Ligging: Aan rustige weg, In woonwijk, Vrij uitzicht, Landelijk gelegen
  • Kamers: 6
  • Slaapkamers: 4 kamers
  • Soort woning: Eengezinswoning
  • Type: Hoekwoning
  • Type dak: Zadeldak

Omschrijving

Welkom aan de Molenvelden 17 in Hapert – een plek waar je iedere dag wakker wordt met een gevoel van vrijheid, ruimte en comfort. Hier woon je op een werkelijk unieke locatie: aan de rand van een geliefde, kindvriendelijke woonwijk met een speelveldje direct voor de deur én het uitgestrekte landelijke gebied letterlijk naast je. Terwijl de kinderen veilig buiten spelen, geniet jij van een fenomenaal uitzicht over de landerijen, zowel vanuit de woning als vanuit de tuin. Wat deze woning extra bijzonder maakt, is dat je hier niet alleen profiteert van de ligging, maar ook van het hoge afwerkingsniveau en de royale leefruimte. Denk aan een uitgebouwde woonkamer, een fraaie tuinkamer, vier volwaardige slaapkamers, een zonnige tuin op het zuidwesten, een dubbele oprit én een energiezuinig karakter met energielabel A+. Dit is wonen op een niveau dat je zelden tegenkomt.

Indeling:

Begane grond:

Je stapt binnen in een verzorgde hal die meteen de toon zet voor de rest van de woning. De strakke tegelvloer, de uitgebreide meterkast en de moderne toiletruimte met wandcloset en fonteintje zorgen voor een stijlvolle en praktische entree. Alles is hier tot in de puntjes afgewerkt en dat voel je direct.

Wanneer je doorloopt, kom je in de leefruimte waar licht, ruimte en luxe samenkomen. Aan de voorzijde van de woning vind je de open keuken, een heerlijke plek waar koken en leven moeiteloos in elkaar overlopen. Terwijl je hier bezig bent, kijk je uit over het speelveldje en zie je het leven buiten aan je voorbijgaan. De moderne keukenopstelling is niet alleen strak vormgegeven, maar ook bijzonder compleet uitgerust met hoogwaardige inbouwapparatuur zoals een inductiekookplaat, afzuigkap, koelkast, vaatwasser, combi-oven en stoomoven. Het extra diepe werkblad geeft je alle ruimte om uitgebreid te koken en te genieten.

De uitgebouwde woonkamer is zonder twijfel het kloppend hart van de woning. Wat hier direct opvalt, is de enorme hoeveelheid licht en de ruimtelijke beleving. Dankzij de uitbouw en de grote raampartijen voelt deze ruimte heerlijk open en uitnodigend aan. De hoogwaardige afwerking met een fraaie tegelvloer en strak gestucte wanden zorgt voor een moderne en warme uitstraling. Vanuit de zijgevel heb je een prachtig vrij uitzicht over het aangrenzende landschap – een uitzicht dat nooit verveelt en elk seizoen weer iets nieuws brengt.

Aansluitend vind je de aangebouwde tuinkamer, een absolute meerwaarde voor deze woning. Dit is zo’n ruimte waar je direct mogelijkheden ziet. Of je nu droomt van een tweede woonkamer, een speelparadijs voor de kinderen of een rustige thuiswerkplek met inspirerend uitzicht – hier kan het allemaal. De lichtstraat zorgt voor een prachtige lichtinval en met de glazen schuifwanden betrek je de tuin op een natuurlijke manier bij je leefruimte. Zodra de zon schijnt, schuif je alles open en loopt binnen naadloos over in buiten.

Eerste verdieping:

Op de eerste verdieping kom je op een nette overloop die toegang geeft tot drie comfortabele slaapkamers en de badkamer. De afwerking is ook hier weer verzorgd en eigentijds, met een fijne laminaatvloer en lichte wanden die zorgen voor een rustige basis.

De slaapkamers zijn stuk voor stuk ruim, licht en praktisch in te delen. Dankzij de Velux dakramen en zijgevelramen geniet je van een prettige lichtinval en een aangename sfeer in elke kamer. Of je nu extra slaapkamers nodig hebt, een werkkamer wilt inrichten of een hobbyruimte zoekt, hier heb je alle mogelijkheden.

De badkamer is modern, compleet en ontworpen met oog voor comfort. Hier begin en eindig je je dag in stijl, met een ruime inloopdouche, een ligbad om heerlijk te ontspannen, een fraai wastafelmeubel met voldoende bergruimte, spiegel met inbouwverlichting en natuurlijk een 2e toilet. De combinatie van strak tegelwerk, modern sanitair en natuurlijk licht via het dakraam maakt dit een bijzonder fijne ruimte.

Tweede verdieping:

Via een vaste trap bereik je de tweede verdieping, waar je wordt verrast door de ruimte en veelzijdigheid. Deze zolderverdieping is ingericht als een volwaardige extra kamer en leent zich perfect als vierde slaapkamer, thuiskantoor of hobbyruimte. Dankzij het dakraam en het zijraam is ook deze verdieping heerlijk licht en aangenaam om te verblijven.

Daarnaast beschik je hier over een aparte technische ruimte, waar alles netjes is weggewerkt. Met aansluitingen voor wasapparatuur, de cv-installatie, mechanische ventilatie en de omvormers van de zonnepanelen is ook dit deel van de woning praktisch en toekomstbestendig ingericht. De bergruimte onder de schuine kap maakt het geheel compleet.

Buitenruimte:

Ook buiten is het genieten op hoog niveau. De voortuin is verzorgd aangelegd en beschikt over een dubbele oprit, waardoor je altijd plek hebt voor twee auto’s naast elkaar op eigen terrein. Dat is niet alleen praktisch, maar ook comfortabel in het dagelijks gebruik.

De achtertuin is een waar verlengstuk van de woning en ligt perfect op het zonnige zuidwesten. Hier geniet je van lange zomerdagen, volop privacy en een werkelijk schitterend uitzicht over de naastgelegen landerijen. De tuin is met zorg aangelegd en biedt een fijne mix van gebakken klinkerbestrating, gazon en sfeervolle beplanting. Achterin vind je een ruime, geïsoleerde berging die ideaal is voor opslag, hobby’s of bijvoorbeeld het stallen van fietsen, motoren of tuingereedschap. De achterom met poort biedt toegang tot de dubbele oprit aan de voorzijde. Wat deze tuin écht bijzonder maakt, is het vrije gevoel dat je hier ervaart. Geen directe achterburen, maar een weids uitzicht dat elke dag opnieuw indruk maakt.

Algemeen:
– bouwjaar 2017.
– perceeloppervlakte 267 m².
– inhoud
– gebruiksoppervlakte wonen
– externe bergruimte
– de woning is voorzien van optimale dak-, spouwmuur- en vloerisolatie.
– de woning is voorzien van hardhouten kozijnen met HR++ isolerende beglazing.
– verwarming en warmwatervoorziening middels een Intergas HRE c.v. combi-ketel (bouwjaar 2017).
– de begane grond is voorzien van vloerverwarming, met uitzondering van de tuinkamer.
– de woning is voorzien van 11 zonnepanelen.
– de uitbouw en berging zijn in 2017 gerealiseerd en de tuinkamer in 2019.
– alle verdiepingsvloeren zijn uitgevoerd in beton.
– prachtige ligging in een zeer gewilde, jonge en unieke woonomgeving met diverse speelveldje en voldoende openbare parkeergelegenheid in de directe omgeving. Het Hapertse dorpscentrum is op korte afstand gelegen en op loopstand ligt het fantastische 7.000 m² grote natuurgebied “De Nieuwe Wildernis” waar je heerlijk kunt wandelen, fietsen en relaxen. Het dorp Hapert is zeer gunstig gelegen in regio “De Kempen” met een directe aansluiting op Provincialeweg N284 en autosnelweg A67, waardoor onder andere ASML, Maxima Medisch Centrum, High Tech Campus en Eindhoven Airport allen uitstekend bereikbaar zijn.

Kortom: dit is niet zomaar een woning, maar een plek waar alles samenkomt: een unieke ligging aan de rand van het groen, een instapklare en hoogwaardig afgewerkte woning, verrassend veel leefruimte met onder andere een prachtige tuinkamer en vier volwaardige slaapkamers, én een zonnige tuin met ongekend vrij uitzicht, waardoor je hier elke dag opnieuw het ultieme gevoel van thuis ervaart.

Documenten

Selecteer onderstaande documenten om ze te downloaden

Contact

Neem contact met ons op

0497 36 91 93 info@boxmakelaardij.nl

"*" geeft vereiste velden aan

Dit veld is bedoeld voor validatiedoeleinden en moet niet worden gewijzigd.
    • *
      *
      *
    • *