Tiberhof 15
Omschrijving
* for english translation please scroll down*
Op een uitstekende locatie in Veldhoven-Dorp aan een ruim opgezet en verkeersarm woonerf ligt deze uitgebouwde, verrassend ruime en nagenoeg volledig gemoderniseerde middenwoning. De woning beschikt over een mooie brede woonkamer, riante leefkeuken, 4 royale slaapkamers en een fraai aangelegde achtertuin met berging en terrasoverkapping. Fijne ligging in een groene woonomgeving met volop openbare parkeergelegenheid en op loopafstand van de centrumvoorzieningen.
Indeling:
Begane grond:
Keurige entreehal met een houtlook-tegelvloer, volledig betegelde toiletruimte met wandcloset en fonteintje, trapkast met vernieuwde meterkast en verdeler van de vloerverwarming, schoenenkast onder de trap, toegang tot de leefkeuken en trapopgang naar de 1e verdieping.
Uitermate sfeervolle woonkamer aan de voorzijde van de woning met een houtlook-tegelvloer, stucwerkwanden, stucwerkplafond met inbouwspots en sierlijst, ruimtelijke erker, brede vensterbanken met geïntegreerde opbergruimte en en-suite schuifdeuren met toegang tot de leefkeuken.
Riante uitgebouwde leefkeuken aan de achterzijde van de woning met een houtlook-tegelvloer, stucwerkwanden, stucwerkplafond met inbouwspots, sierlijst en lichtstraat. Vanuit de keuken is er toegang tot de tuin middels openslaande tuindeuren en een separate loopdeur. De keukeninrichting in U-opstelling is voorzien van een inductiekookplaat met geïntegreerde afzuiging, vaatwasser op hoogte, koelkast, oven en stoomoven. Behoudens de Bora kookplaat is alle apparatuur van het topmerk Siemens.
1e verdieping:
Overloop met een laminaatvloer, toegang tot 3 ruime slaapkamers en de badkamer, alsmede een vaste trapopgang naar de 2e verdieping.
De drie ruime slaapkamers zijn allen op keurige wijze afgewerkt en voorzien van een laminaatvloer, stucwerkwanden en een stucwerkplafond.
Volledig betegelde badkamer voorzien van een ligbad met thermostaatkraan, inloopdouche met thermostaatkraan en glazen douchedeur, badmeubel met wastafel en wandkast, wandcloset, designradiator en verlaagd plafond met inbouwspots.
2e verdieping:
Middels een vaste trap bereikbare voorzolder met een laminaatvloer, wasmachine-aansluiting, Velux dakvenster, opstelling van de c.v.-installatie en bergruimte aan beide zijden onder de dakschuinte.
Ruime 4e slaapkamer met een laminaatvloer, spachtelputzwanden, stucwerkplafond met inbouwspots, dakkapel en bergruimte aan beide zijden onder de dakschuinte.
Exterieur:
Keurige voortuin met diverse beplanting en pad met toegang tot de voordeur.
Fraai aangelegde achtertuin voorzien van een terrasoverkapping met inbouwspots en lichtstraat, sierbestrating, diverse beplanting, berging, achterom met poort en 2 extra overkappingen waarvan 1 met glazen schuifwanden.
Algemeen:
– bouwjaar 1963.
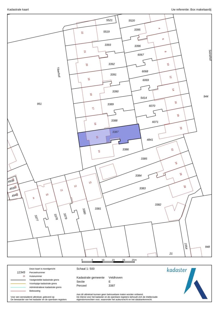
– perceeloppervlakte 210 m².
– inhoud 439 m³.
– gebruiksoppervlakte wonen 124 m².
– gebouwgebonden buitenruimte 10 m².
– externe bergruimte 16 m².
– de woning is voorzien van dak-, spouwmuur- en vloerisolatie.
– de woning is voorzien van houten kozijnen nagenoeg volledig met isolerende en HR beglazing.
– verwarming en warmwatervoorziening middels een Intergas HR c.v. combi-ketel (bouwjaar 2024). Deze c.v.-ketel wordt gehuurd voor € 42,95 per maand. Dit huurcontract is per 1 oktober 2024 af te kopen voor een bedrag van € 1.521,- waarmee de c.v.-ketel eigendom wordt.
– de volledig begane grond is voorzien van vloerverwarming.
– het binnen- en buitenschilderwerk is in 2023-2024 vernieuwd.
– de woning is voorzien van houten binnendeurkozijnen met stompe paneeldeuren.
– op diverse plaatsen zijn rolluiken of screens aanwezig, welke deels elektrisch bedienbaar zijn.
– de leefkeuken en de masterbedroom zijn voorzien van airconditioning welke kan koelen en verwarmen.
– uitstekende ligging in een kindvriendelijke woonomgeving op een steenworp afstand van de voorzieningen van Veldhoven-Dorp.
This extended, surprisingly spacious and almost completely modernised mid-terrace house is situated in an excellent location in Veldhoven-Dorp on a spacious and low-traffic residential area. The house has a beautiful wide living room, spacious kitchen, 4 spacious bedrooms and a beautifully landscaped backyard with storage and terrace cover. Nice location in a green residential area with plenty of public parking and within walking distance of the city centre facilities.
Layout:
Ground floor:
Neat entrance hall with a wood-look tiled floor, fully tiled toilet with wall closet and washbasin, stair cupboard with renovated meter cupboard and distributor of the underfloor heating, shoe cupboard under the stairs, access to the kitchen and staircase to the 1st floor.
Extremely attractive living room at the front of the house with a wood-look tiled floor, stucco walls, stucco ceiling with recessed spotlights and decorative moulding, spacious bay window, wide windowsills with integrated storage space and en-suite sliding doors with access to the kitchen.
Spacious extended kitchen/diner at the rear of the house with a wood-look tiled floor, stucco walls, stucco ceiling with recessed spotlights, decorative molding and skylight. From the kitchen there is access to the garden through French doors and a separate pedestrian door. The kitchen in U-shape is equipped with an induction hob with integrated extractor, dishwasher at height, refrigerator, oven and steam oven. Except for the Bora hob, all equipment is from the top brand Siemens.
1st floor:
Landing with laminate flooring, access to 3 spacious bedrooms and the bathroom, as well as a fixed staircase to the 2nd floor.
The three spacious bedrooms are all neatly finished and equipped with laminate flooring, stucco walls and a stucco ceiling.
Fully tiled bathroom with a bath with thermostatic tap, walk-in shower with thermostatic tap and glass shower door, bathroom furniture with washbasin and wall cupboard, wall closet, design radiator and lowered ceiling with built-in spotlights.
2nd floor:
Attic accessible by a fixed staircase with laminate flooring, washing machine connection, Velux roof window, central heating system and storage space on both sides under the sloping roof.
Spacious 4th bedroom with laminate flooring, stucco walls, stucco ceiling with built-in spotlights, dormer window and storage space on both sides under the sloping roof.
Exterior:
Neat front garden with various plants and path with access to the front door.
Beautifully landscaped back garden with a terrace roof with built-in spotlights and skylight, decorative paving, various plants, storage, back entrance with gate and 2 extra roofs, 1 with glass sliding walls.
General:
– year of construction 1963.
– plot area 210 m².
– volume 439 m³.
– usable living area 124 m².
– building-related outdoor space 10 m².
– external storage space 16 m².
– the house has roof, cavity wall and floor insulation.
– the house has wooden frames almost entirely with insulating and HR glazing.
– heating and hot water supply by means of an Intergas HR c.v. combi-boiler (built in 2024). This c.v. boiler is rented for € 42.95 per month. This lease can be bought off as of October 1, 2024 for an amount of € 1,521, – with which the c.v. boiler becomes the property.
– the entire ground floor has underfloor heating.
– the interior and exterior paintwork was renewed in 2023-2024.
– the house has wooden interior door frames with flush panel doors.
– there are roller shutters or screens in various places, some of which can be operated electrically.
– the kitchen and master bedroom have air conditioning that can cool and heat.
– excellent location in a child-friendly residential area a stone’s throw from the amenities of Veldhoven-Dorp.
Kenmerken
- Woonoppervlakte: 124 m2
- Perceeloppervlakte: 210 m2
- Slaapkamers: 4 kamers
- Bouwjaar: 1963
Kenmerken
Overdracht
- Woonoppervlakte: 124 m2
- Perceeloppervlakte: 210 m2
- Inhoud: 439 m3
- Status: Verkocht
- Energielabel: C
Bouw
- Ligging: Aan rustige weg, In woonwijk, Vrij uitzicht,
- Kamers: 6
- Slaapkamers: 4 kamers
- Soort woning: Eengezinswoning
- Type: Tussenwoning
- Type dak: Zadeldak
Omschrijving
* for english translation please scroll down*
Op een uitstekende locatie in Veldhoven-Dorp aan een ruim opgezet en verkeersarm woonerf ligt deze uitgebouwde, verrassend ruime en nagenoeg volledig gemoderniseerde middenwoning. De woning beschikt over een mooie brede woonkamer, riante leefkeuken, 4 royale slaapkamers en een fraai aangelegde achtertuin met berging en terrasoverkapping. Fijne ligging in een groene woonomgeving met volop openbare parkeergelegenheid en op loopafstand van de centrumvoorzieningen.
Indeling:
Begane grond:
Keurige entreehal met een houtlook-tegelvloer, volledig betegelde toiletruimte met wandcloset en fonteintje, trapkast met vernieuwde meterkast en verdeler van de vloerverwarming, schoenenkast onder de trap, toegang tot de leefkeuken en trapopgang naar de 1e verdieping.
Uitermate sfeervolle woonkamer aan de voorzijde van de woning met een houtlook-tegelvloer, stucwerkwanden, stucwerkplafond met inbouwspots en sierlijst, ruimtelijke erker, brede vensterbanken met geïntegreerde opbergruimte en en-suite schuifdeuren met toegang tot de leefkeuken.
Riante uitgebouwde leefkeuken aan de achterzijde van de woning met een houtlook-tegelvloer, stucwerkwanden, stucwerkplafond met inbouwspots, sierlijst en lichtstraat. Vanuit de keuken is er toegang tot de tuin middels openslaande tuindeuren en een separate loopdeur. De keukeninrichting in U-opstelling is voorzien van een inductiekookplaat met geïntegreerde afzuiging, vaatwasser op hoogte, koelkast, oven en stoomoven. Behoudens de Bora kookplaat is alle apparatuur van het topmerk Siemens.
1e verdieping:
Overloop met een laminaatvloer, toegang tot 3 ruime slaapkamers en de badkamer, alsmede een vaste trapopgang naar de 2e verdieping.
De drie ruime slaapkamers zijn allen op keurige wijze afgewerkt en voorzien van een laminaatvloer, stucwerkwanden en een stucwerkplafond.
Volledig betegelde badkamer voorzien van een ligbad met thermostaatkraan, inloopdouche met thermostaatkraan en glazen douchedeur, badmeubel met wastafel en wandkast, wandcloset, designradiator en verlaagd plafond met inbouwspots.
2e verdieping:
Middels een vaste trap bereikbare voorzolder met een laminaatvloer, wasmachine-aansluiting, Velux dakvenster, opstelling van de c.v.-installatie en bergruimte aan beide zijden onder de dakschuinte.
Ruime 4e slaapkamer met een laminaatvloer, spachtelputzwanden, stucwerkplafond met inbouwspots, dakkapel en bergruimte aan beide zijden onder de dakschuinte.
Exterieur:
Keurige voortuin met diverse beplanting en pad met toegang tot de voordeur.
Fraai aangelegde achtertuin voorzien van een terrasoverkapping met inbouwspots en lichtstraat, sierbestrating, diverse beplanting, berging, achterom met poort en 2 extra overkappingen waarvan 1 met glazen schuifwanden.
Algemeen:
– bouwjaar 1963.
– perceeloppervlakte 210 m².
– inhoud 439 m³.
– gebruiksoppervlakte wonen 124 m².
– gebouwgebonden buitenruimte 10 m².
– externe bergruimte 16 m².
– de woning is voorzien van dak-, spouwmuur- en vloerisolatie.
– de woning is voorzien van houten kozijnen nagenoeg volledig met isolerende en HR beglazing.
– verwarming en warmwatervoorziening middels een Intergas HR c.v. combi-ketel (bouwjaar 2024). Deze c.v.-ketel wordt gehuurd voor € 42,95 per maand. Dit huurcontract is per 1 oktober 2024 af te kopen voor een bedrag van € 1.521,- waarmee de c.v.-ketel eigendom wordt.
– de volledig begane grond is voorzien van vloerverwarming.
– het binnen- en buitenschilderwerk is in 2023-2024 vernieuwd.
– de woning is voorzien van houten binnendeurkozijnen met stompe paneeldeuren.
– op diverse plaatsen zijn rolluiken of screens aanwezig, welke deels elektrisch bedienbaar zijn.
– de leefkeuken en de masterbedroom zijn voorzien van airconditioning welke kan koelen en verwarmen.
– uitstekende ligging in een kindvriendelijke woonomgeving op een steenworp afstand van de voorzieningen van Veldhoven-Dorp.
This extended, surprisingly spacious and almost completely modernised mid-terrace house is situated in an excellent location in Veldhoven-Dorp on a spacious and low-traffic residential area. The house has a beautiful wide living room, spacious kitchen, 4 spacious bedrooms and a beautifully landscaped backyard with storage and terrace cover. Nice location in a green residential area with plenty of public parking and within walking distance of the city centre facilities.
Layout:
Ground floor:
Neat entrance hall with a wood-look tiled floor, fully tiled toilet with wall closet and washbasin, stair cupboard with renovated meter cupboard and distributor of the underfloor heating, shoe cupboard under the stairs, access to the kitchen and staircase to the 1st floor.
Extremely attractive living room at the front of the house with a wood-look tiled floor, stucco walls, stucco ceiling with recessed spotlights and decorative moulding, spacious bay window, wide windowsills with integrated storage space and en-suite sliding doors with access to the kitchen.
Spacious extended kitchen/diner at the rear of the house with a wood-look tiled floor, stucco walls, stucco ceiling with recessed spotlights, decorative molding and skylight. From the kitchen there is access to the garden through French doors and a separate pedestrian door. The kitchen in U-shape is equipped with an induction hob with integrated extractor, dishwasher at height, refrigerator, oven and steam oven. Except for the Bora hob, all equipment is from the top brand Siemens.
1st floor:
Landing with laminate flooring, access to 3 spacious bedrooms and the bathroom, as well as a fixed staircase to the 2nd floor.
The three spacious bedrooms are all neatly finished and equipped with laminate flooring, stucco walls and a stucco ceiling.
Fully tiled bathroom with a bath with thermostatic tap, walk-in shower with thermostatic tap and glass shower door, bathroom furniture with washbasin and wall cupboard, wall closet, design radiator and lowered ceiling with built-in spotlights.
2nd floor:
Attic accessible by a fixed staircase with laminate flooring, washing machine connection, Velux roof window, central heating system and storage space on both sides under the sloping roof.
Spacious 4th bedroom with laminate flooring, stucco walls, stucco ceiling with built-in spotlights, dormer window and storage space on both sides under the sloping roof.
Exterior:
Neat front garden with various plants and path with access to the front door.
Beautifully landscaped back garden with a terrace roof with built-in spotlights and skylight, decorative paving, various plants, storage, back entrance with gate and 2 extra roofs, 1 with glass sliding walls.
General:
– year of construction 1963.
– plot area 210 m².
– volume 439 m³.
– usable living area 124 m².
– building-related outdoor space 10 m².
– external storage space 16 m².
– the house has roof, cavity wall and floor insulation.
– the house has wooden frames almost entirely with insulating and HR glazing.
– heating and hot water supply by means of an Intergas HR c.v. combi-boiler (built in 2024). This c.v. boiler is rented for € 42.95 per month. This lease can be bought off as of October 1, 2024 for an amount of € 1,521, – with which the c.v. boiler becomes the property.
– the entire ground floor has underfloor heating.
– the interior and exterior paintwork was renewed in 2023-2024.
– the house has wooden interior door frames with flush panel doors.
– there are roller shutters or screens in various places, some of which can be operated electrically.
– the kitchen and master bedroom have air conditioning that can cool and heat.
– excellent location in a child-friendly residential area a stone’s throw from the amenities of Veldhoven-Dorp.